Off-Pavement Multi-Use Path
Creating a Safe Path for Everyone
East State Street is a key east-west route in downtown Olean, carrying heavy traffic through a constrained urban environment. To increase safety and accessibility for pedestrians and bicyclists, LaBella designed a 10-foot-wide, off-pavement, multi-use path along the north side of the corridor, fully separating non-motorized users from vehicle traffic.
Expanding the existing four-foot-wide concrete sidewalk into a wider, ADA-compliant path presented grading challenges. The natural terrain along the corridor exceeded allowable ADA slope tolerances, requiring vertical adjustments without disrupting access to homes and businesses or unnecessarily reducing on-street parking.
To overcome these challenges, LaBella incorporated strategically placed curb extensions. In the steepest areas, curb bump-outs created space to flatten slopes, achieve ADA compliance, and maintain connectivity while minimizing impacts to property access and parking

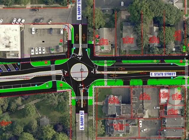
Modern Mini Roundabout at Barry Street
Keeping a Busy Corridor Moving
The four-way signalized intersection at Barry Street and East State Street required a solution that could improve safety, accommodate heavy truck traffic, and fit within the corridor’s tight urban footprint. LaBella designed a modern mini roundabout—a compact, carefully configured intersection that uses optimized turning lanes and curb radii to maintain efficient traffic flow.
The roundabout reduces conflict points for vehicles and pedestrians, simplifies decision-making, and provides protected pedestrian crossings. It complements the corridor’s multi-modal improvements, creating safer and more predictable travel for all users. In addition, by keeping traffic moving efficiently, the roundabout minimizes vehicle idling, reducing emissions and enhancing air quality.
During roundabout construction, traffic along East State Street was carefully managed through a phased approach that maintained two-way movement while preserving access for residents, businesses, and through traffic.



Additional Corridor Improvements
Accessibility, Streetscape, Safety, & Wayfinding
Walkable Olean Phase III includes a series of corridor improvements that enhance accessibility, safety, and overall circulation for all users. ADA-compliant curb ramps, curb and median extensions, and clearly marked bicycle lanes and crosswalks improve visibility, shorten pedestrian crossing distances, and create defined, intuitive paths through the corridor. Travel lanes are sized to accommodate cars, trucks, and buses, while on-street parking is strategically configured to maintain access for residents and businesses and reinforce traffic calming.
The project also includes new wayfinding signage that aligns with the City’s broader signage initiative, guiding travelers to recreational facilities, shopping districts, and Lincoln Park. This signage strengthens connections along East State Street and throughout the City.

Green Infrastructure
To protect local waterways, the project incorporates rain gardens and vegetative swales that collect and filter stormwater before it reaches Olean Creek and downstream water bodies. By allowing runoff to infiltrate the soil, these elements reduce pressure on the City’s drainage system, remove pollutants naturally, and enhance groundwater recharge.

Drainage System Upgrades
During design, LaBella worked with the City to address longstanding deficiencies in the stormwater drainage system along East State Street. As an older city, Olean’s combined sewer system historically carried both stormwater and wastewater, creating a risk of untreated overflows and water quality impacts during heavy rain events.
A new storm sewer trunk line was incorporated into the project to consolidate stormwater from undersized, segmented drainage areas along the corridor, separate it from the sanitary sewer system, and convey it safely to rain gardens or Olean Creek. These upgrades reduce demand on the City’s wastewater treatment plant, minimize the risk of overflows, and protect water quality in Olean Creek and the Genesee River watershed.
Olean Celebrates Completion of Streetscape Transformation With Ribbon-Cutting
On October 17, 2025, city and state officials, business owners, community members, and project partners gathered at the Olean Municipal Plaza for a ribbon-cutting ceremony celebrating the completion of the City’s final DRI projects, including Walkable Olean Phase III. The event recognized the collaborative effort that brought Olean’s vision to life and highlighted benefits beyond physical improvements, including stronger local businesses, improved accessibility, and lasting community pride.
New York State Governor Kathy Hochul’s pressroom also issued a press release commending the completion of Olean’s DRI projects to mark the milestone.
Read the release here


















